守护·关怀 中国人寿让每个客户都被温柔以待
践行着“让每个客户都被温柔以待”的企业担当。未来,中国人寿将继续在助力残障人士的路上前行,从守护到托举
来源:资讯频道2025-10-15

10月14日
昆明市自然资源和规划局发布了
贝泰妮中央工厂二期
智慧供应链建设项目工程
规划许可证批前公示
↓

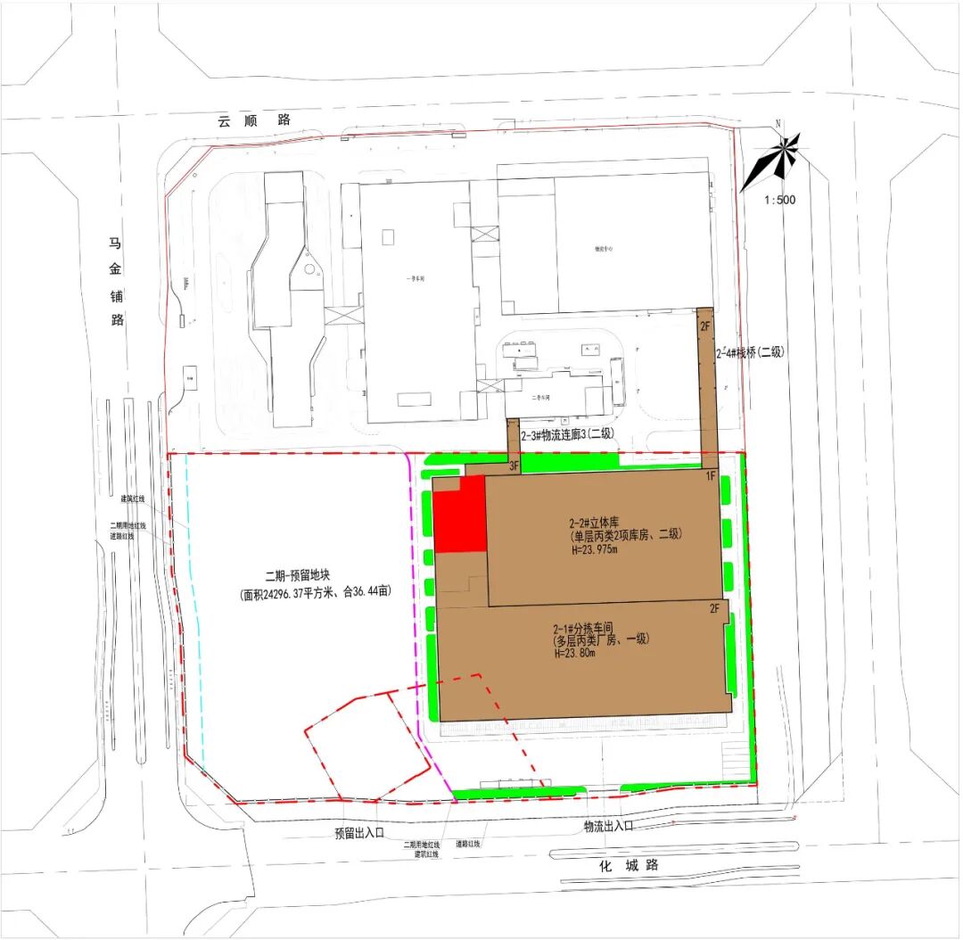
贝泰妮中央工厂二期智慧供应链建设项目拟建于高新区东区,马金铺路与化城路交叉口,拟建4栋建筑,分别为分拣车间、立体库、物流连廊、栈桥。


贝泰妮是立足云南特色植物科技、以产学研医融合为核心驱动力的国货美妆龙头,旗下核心品牌薇诺娜连续多年蝉联中国敏感肌护肤品销冠。
据了解,作为昆明市重点工业项目,二期建成后将与一期形成 “双工厂联动”模式,推动集团自产比例提升。智慧供应链的落地不仅能降低物流成本,更将强化贝泰妮在功效护肤领域的全链条可控竞争力,为其多品牌矩阵(薇诺娜、瑷科缦、贝芙汀等)的全球化发展奠定基础。




编辑:张 捷
责编:张晓莉
一审:廖晶蓉
终审:杨世玥