昆明信息港
彩龙社区
科学
正文
民生服务
出行
财经
教育
健康
文化
旅游
招聘
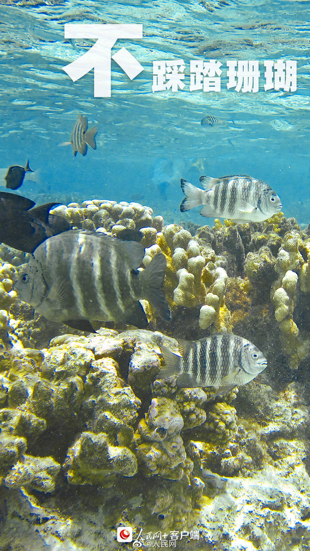
转发呼吁!保护海洋环境9个不要
2022-06-08 07:31
来源:"人民网"微博
上一篇
6月7日0时至24时,云南无新增确诊病例
2022-06-08
下一篇
野生菌价格下降!
来源:昆明信息港/cnkmxxg
2022-06-07
不随意投喂海洋生物;不买卖濒危海洋生物;不使用危害海洋的防晒霜;不多用一次性塑料制品……#今天2022世界海洋日#,转发呼吁,保护海洋环境,守护我们的蔚蓝星球!
本文由昆明信息港机器人小明转载自""人民网"微博"
广告热线: (0871)65364045 新闻热线: (0871)65390101
24小时网站违法和不良信息举报电话: 0871-65390101 举报邮箱: 2779967946@qq.com
互联网新闻信息服务许可证: 53120170004
增值电信业务经营许可证(ICP): 滇B2-20090009