

为了最大化利用现有道路资源
提高通行效率
昆明公安交管
针对北京路的
交通运行状况和通行需求
对交通组织进行优化

区位
北京路与人民路交叉口是城市中心的重要转换节点,北京路是南北向城市主干道,人民路是东西向城市主干道,交叉口周边业态丰富,轨道二号线交三桥站位于节点两侧,中国银行、广发银行以及工商银行位于周边,节点交通日均人流量大,高峰时段交通拥堵明显。

(区位图)

问题诊断
昆明公安交管部门经实地调研并对路口交通流特征进行分析后,发现路口存在以下主要问题:
(一)北京路南口路段渐变段长度不足
北京路与人民路南口路段渐变段不足,现状存在40米长硬质机非隔离设置,导致高峰时段,直行车排队至路段渐变段展宽区域,直右车道存在右转车辆“上不来”的现象,导致了路口空间资源浪费,降低了路口通行效率。

(路段渐变段不足)
(二)渐变路段车道划分与行车流线不符
现状车道划分最内侧车道为3.5米,中间车道为3.75米,最外侧为渐变车道,高峰时段,直行车道排队至渐变区域时,导致右转车辆错车空间不足,进而造成右转车辆排队至路段区域。

(路段错车空间不足)

优化措施
针对北京路与人民路南口存在的问题,昆明公安交管部门结合实际,实施了以下优化措施:
(一)取消路段40m长机非硬质隔离,增加路段错车空间

(取消硬质机非隔离设置)
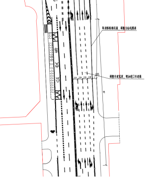
(二)调整渐变段区域车道宽度,增加进口道,分流右转的车辆

(路段压缩车道,增加进口道)
改善前后现场图如下:

(北京路与人民路南口改善前现场图)

(北京路与人民路南口改善后现场图)

实施效果
通过实施上述优化措施,经高德地图指数监测及现场调研,北京路南口方向直行排队长度及延误明显下降,南进口排队长度下降约48m,高峰拥堵现象明显缓解。

下一步
昆明公安交管部门
将持续关注
该路口及周边路网运行情况
结合交通流量变化动态
优化交通组织与信号配时
努力营造更加
安全、有序、畅通的
道路交通环境
来源:昆明交警、昆报头条
编辑:曾欣
编审:刘莹
终审:周健军
觉得不错,点个
和
转发起来!